据中国天气最新消息,北大西洋飓风“梅利莎”以惊人的强度刷新历史纪录——其中心附近最大风力曾达到17级以上,风速高达77米/秒,一举超越今年第18号台风“桦加沙”(巅峰强度62米/秒),成为2025年新晋的“全球风王”。


美国媒体27日公布了一段由“飓风猎人”驾驶气象侦察机穿越飓风“梅利莎”时拍摄的罕见画面。在相对平静的风眼中心,强风环绕形成类似体育场的环形结构,这一现象被气象学家称为“体育场效应”。视频中,侦察机在风暴核心穿行,展现了飓风内部惊人的能量聚集。

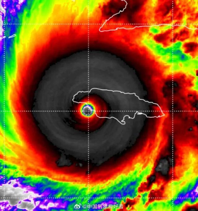
根据对2011年以来15年数据的分析,飓风“梅利莎”的强度在全球登陆台风/飓风中可排第四位,稳居西半球第一。其中心气压低至895百帕,这一数据仅次于历史上两个更强的北大西洋飓风。气象学家指出,气压越低,飓风破坏力越强,“梅利莎”的低压值使其成为近十年最危险的飓风之一。

美国国家飓风中心28日通报,美国东部时间当日上午10点,“梅利莎”持续风速达每小时298公里,按风速计算已成为大西洋有记录以来第二强的飓风,仅次于2005年的“威尔玛”。

据中央气象台监测,北京时间今日8时,“梅利莎”已减弱为三级飓风,中心附近最大风力17级(58米/秒),相当于我国的超强台风级。尽管强度略有下降,但其破坏力仍不容小觑。

据中国气象爱好者消息,当地时间10月28日中午,“梅利莎”以巅峰强度登陆牙买加,成为该国历史上遭遇的最强飓风。狂风暴雨导致全国交通通讯中断,西部沿海地区受灾尤为严重:视频画面显示,建筑物外墙剥落、树木被连根拔起,一位追风者在风暴中失联超过12小时。截至目前,飓风已造成牙买加9人遇难、多人受伤,重灾区需待风雨平息后才能展开大规模救援。
