上海人注意了!又一波升温即将来袭,连续三天34℃高温来袭
假期第三天,上海天气呈现阴云、阳光与阵雨“混搭”模式。降水零散且雨量不大,主要出现在南部地区。气温方面表现稳定,全市最高气温在28~31℃之间,市区徐家汇站达到29.8℃。不过,空气湿度大部分时间都在70%以上,体感难免潮湿闷热。

明日天气预测:多云到阴,雨水“散装”
明天,上海仍以多云到阴天气为主,阳光偶尔露面,雨水依旧是“散装”风格。全天气温预计在25~31℃之间,东到东北风3~4级,相对湿度偏高,在90%~65%之间。

上海未来天气:高温回归,冷空气何时到?
由于未来副热带高压持续偏强,上海气温还将再上台阶。预计5日至7日,最高气温可达34℃左右,晴热为主的天气将高调回归。外出时,市民仍需注意防晒和持续防暑,同时留意午后局地短时阵雨。假期末尾,随着北方弱冷空气扩散南下,气温将有所回落。请大家及时关注最新天气变化,做好出行安排。

网友热议:冷空气何时“发货”?





全国天气概览:北方冷空气频繁,南方炎热持续
假期接下来几天,北方冷空气频繁,大部气温在冲高之后将震荡下跌,冷暖反差极大。而在南方,江南、华南地区炎热持续,热得同期少见。
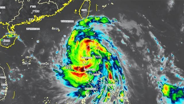
台风‘麦德姆’逼近,将于5日登陆
今年第21号台风“麦德姆”已于10月3日上午登陆菲律宾吕宋岛。14时,其中心位于菲律宾吕宋岛境内,距离广东湛江约1200公里,中心附近最大风力有10级(强热带风暴级,28米/秒)。

最新预报显示,预计“麦德姆”穿过菲律宾吕宋岛后,将于3日夜间移入南海东部海面,之后向西北方向移动,强度逐渐增强,最强可达强台风级(14~15级,42~48米/秒)。并预计于5日白天在广东电白到海南万宁一带沿海登陆(台风级或强台风级,13~14级,40~45米/秒),登陆后强度逐渐减弱。中央气象台已于3日上午发布台风黄色预警。

从目前的卫星云图上来看,台风“麦德姆”的云型结构比较好,中心密闭云区比较紧实,有利于其进入南海后强度的增强。此外,它的移速较快,能够达到每小时30公里左右。今天夜间起,就将给南海中北部海域带来风雨天气,并于4-7日自东向西影响广东、海南、广西、云南等地。

海南铁路部分列车停运
记者从海南铁路海口车务段了解到,受台风“麦德姆”影响,海南铁路部分进出岛列车停运。具体如下:
10月4日进岛列车K457次停运;三亚站始发出岛列车K458次、Z502次、Z8008次停运,海口站始发出岛列车K512次、Z112次停运。
10月5日进出岛列车全部停运。
10月6日进岛列车Z385次、Z8007次、Z501次、Z111次、K511次停运;海口站始发出岛列车Z386次停运。
温馨提示:铁路部门将根据天气影响情况,动态调整列车开行计划。市民可通过12306网站、手机App提前查询列车运行信息,合理安排出行时间。已购买停运车次车票的旅客,可在车票发站乘车日期起30日内(含当日),通过12306网站、手机App或火车站人工窗口办理全额退票,不收取退票费。
国家防总启动防汛防台风四级应急响应
根据《国家防汛抗旱应急预案》及有关规定,国家防总决定于10月3日17时针对广东、海南启动防汛防台风四级应急响应,要求两省切实做好船只回港避风、人员上岸避险工作,突出抓好山洪、中小河流洪水、城乡内涝等薄弱环节防范应对和旅游人员等外来人员安全管理工作,确保人民群众度过一个安宁祥和的国庆中秋假期。
目前,国家防总仍维持针对广西的防汛四级响应。国家防总办公室派出2个工作组分赴广东、广西协助指导防汛防台风工作。
广东发布提醒:这些人全部撤离!
广东省防汛防旱防风总指挥部办公室印发通知,要求珠江口以西(含珠海)海域于3日18时前落实防台风措施,所有海上作业渔船全部回港避风。
此外,据湛江市交通运输局消息,受台风影响,徐闻港、海安新港、粤海铁路北港或将于4日至6日停运(具体时间视气象情况而定)。

通知要求强化海上防风措施——珠江口以西(含珠海)海域于3日18时前落实防台风“六个百分百”措施:所有海上作业渔船全部回港避风,所有渔排养殖和海洋牧场人员全部上岸避险,海上风电施工平台人员全部撤离,海钓船、潜水等休闲船艇和乡镇船艇等禁止出海;滨海景区、跨海航线根据情况适时关停。
珠江口以东海域海上作业渔船密切关注台风路径变化,加强防风措施,做好随时回撤准备。在海南、广西附近海域作业渔船就近进港避风,按照当地防风指令落实防风措施。在南沙海域作业渔船机动避风,离开影响区域。
来源:新民晚报(xmwb1929)综合上海天气发布、中央气象台、央视新闻、网友评论